
「ヒアルロン酸とボトックス、名前はよく聞くけどどう違うの?」
どちらもしわ・たるみの改善に使われる皮下注入剤ですが、
特徴と効果を見極めて自分にあった処方を選択することが大切です。
ヒアルロン酸とボトックスの違いや効果を比較しながらご紹介します。
気になるしわやたるみに注射しますので即効性があり、すぐに効果を実感できます。
また、気になるしわに注入するだけでなく老化のメカニズムを考慮し、支持靭帯を強化しナチュラルかつ立体的にリフトアップする独自のメソッドを用いて少量ずつ効果的に注入します。
当院では、美しく自然な仕上がりを追及し施術にあたっております。
ボトックスとは天然の生成タンパク質で、筋肉の働きを抑える作用があります。
しわの周りに注射することによって筋肉の働きを抑え、しわを伸ばすことができます。
どちらもしわ・たるみの改善に使われる皮下注入剤ですが、
特徴と効果を見極めて自分にあった処方を選択することが大切です。
ヒアルロン酸とボトックスの違いや効果を比較しながらご紹介します。
ヒアルロン酸
![]() |
ヒアルロン酸はしわを目立たなくさせたり、肌にできてしまった溝を内部からケアします。
|
また、気になるしわに注入するだけでなく老化のメカニズムを考慮し、支持靭帯を強化しナチュラルかつ立体的にリフトアップする独自のメソッドを用いて少量ずつ効果的に注入します。
当院では、美しく自然な仕上がりを追及し施術にあたっております。
ボトックス
![]() |
ボトックスはしわを作る筋肉の働きを弱める効果があります。
|
しわの周りに注射することによって筋肉の働きを抑え、しわを伸ばすことができます。
ヒアルロン酸注入箇所
治療の流れ
| 1.治療時間 | 目安 20~30分(診療時間、麻酔時間は含みません) ※注入する部位や量より異なります。 |
|---|---|
| 2.施術中 | 施術時の痛みを和らげるために、施術前に麻酔クリームを塗り、20分~30分程時間を置き、その後ヒアルロン酸の注入を行います。 ヒアルロン酸を組織になじませるために注入後、軽くマッサージをして形を整えます。 |
| 3.回数の目安 | 症状やお悩みにより異なります。 |
| 4.ダウンタイム | メイクをしてお帰りいただけますが、注入箇所へのメイクや注入箇所への強いマッサージは避けてください。 |
ボトックス注入箇所
治療の流れ
| 1.治療時間 | 表情じわの目安約 10分(診療時間は含みません) |
|---|---|
| 2.施術中 | お悩みやイメージなどをおうかがいし、ボトックスを注入します。 |
| 3.回数の目安 | 注入部位により異なりますので、医師にご相談ください。 |
| 4.ダウンタイム | お顔の場合、メイクをしてお帰りいただけますが、注入箇所へのメイクは避けてください。 お顔の場合、注入後48時間~7日で効果が表れます。効果は通常3~4ヵ月持続し、徐々に元の状態に戻ります。よりよい状態を保つためには3~4ヵ月ごとに繰り返し注入を行うことをお勧めします。 ※注入箇所により回数の目安は異なります。 |
渡邊千春院長によるヒアルロン酸注入
私がヒアルロン酸注入を勉強し始めた15年前は、ほうれい線などのシワそのものに直接注入する方法が主流でした。そのころは、それでも患者さまにはご満足をいただけておりましたが、私自身はより良い注入療法について機会のある事に学び続け、現在に至るまで注入のテクニックを自分なりに進化させてまいりました。最近の注入療法はシワそのものに注入するだけでなく、解剖学的に全体を引き上げるようなポイントや、若々しいフェイスラインを作るように注入することにより、さらに自然で魅力的な仕上がりを得ることが可能になりました。
ヒアルロン酸はムコ多糖類の一種で、もともと皮膚、関節、目などに存在する保湿成分の一種です。
加齢変化により、皮膚のたるみ、骨や脂肪、筋肉の萎縮や靭帯の緩みなどで張りがなくなりシワやくぼみができた部分にヒアルロン酸を注入することで若々しさを取り戻し、美しさをプラスすることができます。
シンプルな方法であるだけに、医師のセンスやテクニックで結果は大きく異なります。つまりどの製剤を用いて、どこにどれくらい注入するかで結果は大きく異なります。
また日々進化している治療分野でもあるため、日本のみならず海外の学会などにも参加し、様々な角度から自分なりに検証して、患者さま一人一人にあった注入治療にブラッシュアップしております。
お悩み別施術例
ヒアルロン酸・ボトックス注入なら千春皮フ科クリニックへ
渡邊千春院長は美容医療に携わる15年前からボトックス注入を極めるべく研鑽し、現在はアラガン社認定のAMI Japan SeniorTrainer(ヒアルロン酸、ボトックス注入指導医)として全国の医師のご指導にも当たらせていただいております。
千春皮フ科クリニックが選ばれる理由
皮膚科専門医
![]() |
美容医療は技術のセンスと技術が求められます。当院では皮膚科専門医として、お一人お一人の肌質やお悩み・症状に合わせた治療を行っています。 |
認定指導医
![]() |
ボトックス注入は特別な講習と実技セミナーを受けた専門医師しか注射できません。現在はアラガン社認定のヒアルロン酸、ボトックス注入指導医は埼玉県内では渡邊院長のみです。(平成29年12月現在) |
通いやすい立地
![]() |
千春皮フ科クリニックは上野から20分、新宿から25分、浦和駅東口徒歩1分です。平日は18時半まで診療しています。土曜診療も行っているので通いやすく、リピーターが増えています。 |
ヒアルロン酸・ボトックス注入、料金表
ヒアルロン酸注入
※税込価格
| 種類 | 部位 | 1本 |
|---|---|---|
| ジュビダームビスタ ボリューマXC *国内承認薬 |
ゴルゴライン・眉間・ マリオネットライン・ 法令線・リフトアップ・ 頬コケ・唇・下眼瞼・ こめかみ・額・顎 |
¥99,000(1.0ml) |
| ジュビダームビスタ ボリフトXC *国内承認薬 |
||
| ジュビダームビスタ ボルベラXC *国内承認薬 |
||
| ジュビダームビスタ ボラックスXC *国内承認薬 |
顎・フェイスライン | ¥104,500(1.0ml) |
| スタイレージ XXL | 鼻・顎・フェイスライン | ¥104,500(1.0ml) |
※上記は1本の料金です。
※注入料¥11,000/箇所(部位)が別途かかります。
ボトックス注入
※税込価格
2019年1月1日より料金改定致しました。| 部位 | 通常価格 (麻酔なし) |
同部位注入を4ヵ月 以内に行う場合 (麻酔なし) |
|---|---|---|
| 額 | ¥46,200 | ¥41,580 |
| 眉間・目尻 | 各¥38,500 | 各¥34,650 |
| 口角・顎・鼻の横じわ・上口唇・ガミースマイル | 各¥30,800 | 各¥27,720 |
| 両咬筋(顔やせ) | ¥59,400 | ¥53,460 |
| 両脇(多汗症) | ¥71,280 | ¥64,130 |
| 両肩(肩こり・首スッキリ) | ¥71,280 | ¥64,130 |
| 両ふくらはぎ(脚痩せ) | ¥110,000 | ¥99,000 |
| ボトックスリフト ~小顔・リフトアップ~ (下顔面・中顔面・上顔面・首) |
各¥110,000 | 各¥99,000 |
ヒアルロン酸・ボトックス注入、症例
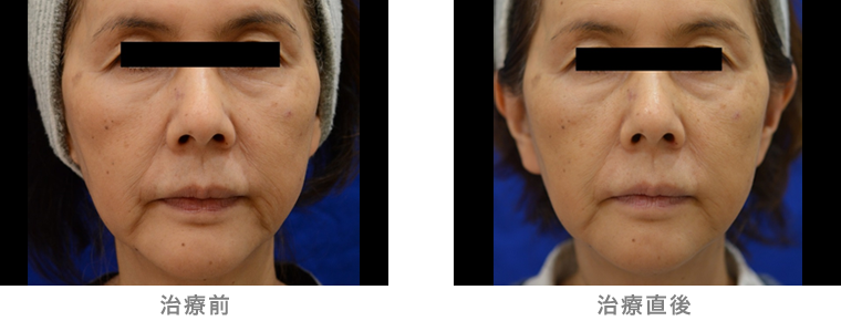
症例1
ヒアルロン酸注入 50代 女性
ヒアルロン酸注入(法令線・頬・こめかみ・下眼瞼・マリオネット・顎)
ジュビダームビスタボリューマXC4本 注入ヵ所 6ヶ所

しわの気になる部分に注入することにより、皮膚を盛り上げ、しわを改善する治療です。
ジュビダームビスタボリューマXC4本 注入ヵ所 6ヶ所

しわの気になる部分に注入することにより、皮膚を盛り上げ、しわを改善する治療です。
費用
ジュビダームビスタボリューマXC
1本 ¥99,000
注入料 1ヵ所 ¥11,000
1本 ¥99,000
注入料 1ヵ所 ¥11,000
主な副作用
フィラー注入には、内出血・紅斑・ごくまれにアレルギー・血流障害による皮膚障害などのリスクがあります。血流障害のリスクは、解剖の熟知と手技により回避することが可能です。
※施術の結果には個人差があります。
症例2
ヒアルロン酸注入 50代 女性
費用
ヒアルロン酸/ジュビダームビスタボルベラXC 2本
1本 ¥99,000
注入料 ¥11,000×2ヶ所
1本 ¥99,000
注入料 ¥11,000×2ヶ所
主な副作用
フィラー注入には、内出血・紅斑・ごくまれにアレルギー・血流障害による皮膚障害などのリスクがあります。血流障害のリスクは、解剖の熟知と手技により回避することが可能です。
※施術の結果には個人差があります。
症例3
ヒアルロン酸注入 20代 女性
費用
ヒアルロン酸/ジュビダームビスタボルベラXC 2本
1本 ¥99,000
注入料 ¥11,000×2ヶ所
1本 ¥99,000
注入料 ¥11,000×2ヶ所
主な副作用
フィラー注入には、内出血・紅斑・ごくまれにアレルギー・血流障害による皮膚障害などのリスクがあります。血流障害のリスクは、解剖の熟知と手技により回避することが可能です。
※施術の結果には個人差があります。
症例4
ヒアルロン酸注入 60代 女性
費用
ヒアルロン酸/ジュビダームビスタボリューマXC 1本 ¥99,000
ジュビダームビスタウルトラXC
1本 ¥70,840
注入料 ¥11,000×2ヶ所
ジュビダームビスタウルトラXC
1本 ¥70,840
注入料 ¥11,000×2ヶ所
主な副作用
フィラー注入には、内出血・紅斑・ごくまれにアレルギー・血流障害による皮膚障害などのリスクがあります。血流障害のリスクは、解剖の熟知と手技により回避することが可能です。
※施術の結果には個人差があります。
症例5
ヒアルロン酸(頬・ほうれい線)・シミ取り・ホクロ取りレーザー 40代 女性

ヒアルロン酸/しわの気になる部分に注入することにより、皮膚を盛り上げ、フェイスラインを整えたりしわを改善する治療です。
シミ取りレーザー/紫外線の影響によるシミ(日光性色素斑)の治療をします。
ホクロ取りレーザー(炭酸ガスレーザー)/炭酸ガスレーザーでホクロやイボの病変部のみを選択的に蒸散させる治療です。
費用
ヒアルロン酸/ジュビダームビスタウルトラXC 1本 ¥70,840
ジュビダームビスタウルトラプラスXC 1本 ¥70,840
注入料(¥11,000×2ヶ所)
シミ取りレーザー/15mm以下 1個 ¥23,100 5mm以下 1個 ¥8,250 3mm以下 1個 ¥3,850×3
ホクロ取りレーザー(炭酸ガスレーザー)/ 2mm以下 ¥11,000×3 3mm以下 ¥16,500×2
ジュビダームビスタウルトラプラスXC 1本 ¥70,840
注入料(¥11,000×2ヶ所)
シミ取りレーザー/15mm以下 1個 ¥23,100 5mm以下 1個 ¥8,250 3mm以下 1個 ¥3,850×3
ホクロ取りレーザー(炭酸ガスレーザー)/ 2mm以下 ¥11,000×3 3mm以下 ¥16,500×2
主な副作用
ヒアルロン酸/フィラー注入には、内出血・紅斑・ごくまれにアレルギー・血流障害による皮膚障害などのリスクがあります。血流障害のリスクは、解剖の熟知と手技により回避することが可能です。
シミ取りレーザー/照射1~2ヶ月は紫外線の影響を受けやすく色が濃くなることがあります。また、シミの種類・部位によっては効果が出るまでに数回の治療を要することがあります。
ホクロ取りレーザー(炭酸ガスレーザー)/ごくまれにレーザーでは取りきれない場合があります。また、治療が数回必要なこともあります。
シミ取りレーザー/照射1~2ヶ月は紫外線の影響を受けやすく色が濃くなることがあります。また、シミの種類・部位によっては効果が出るまでに数回の治療を要することがあります。
ホクロ取りレーザー(炭酸ガスレーザー)/ごくまれにレーザーでは取りきれない場合があります。また、治療が数回必要なこともあります。
※施術の結果には個人差があります。
症例6
コンビネーション治療 40代 男性
ヒアルロン酸注入(法令線・頬・顎・額の傷)+ボトックス注入(目尻)+コラーゲンピール
ジュビダームビスタボリューマXC 3本 注入ヵ所 4ヶ所
ヒアルロン酸/しわの気になる部分に注入することにより、皮膚を盛り上げ、フェイスラインを整えたりしわを改善する治療です。
ボトックス注入/しわの周りに注射することによって筋肉の働きを抑え、しわを伸ばすことができ、深いしわよりも、表情を作ることによってできる表情じわに対して行う治療です。
ジュビダームビスタボリューマXC 3本 注入ヵ所 4ヶ所

ヒアルロン酸/しわの気になる部分に注入することにより、皮膚を盛り上げ、フェイスラインを整えたりしわを改善する治療です。
ボトックス注入/しわの周りに注射することによって筋肉の働きを抑え、しわを伸ばすことができ、深いしわよりも、表情を作ることによってできる表情じわに対して行う治療です。
費用
- ヒアルロン酸
ジュビダームビスタボリューマXC
1本 ¥99,000
注入料 1ヵ所 ¥11,000 - ボトックス注入(目尻) ¥38,500
- コラーゲンピール
1回の治療費 ¥17,600
主な副作用
- ヒアルロン酸:フィラー注入には、内出血・紅斑・ごくまれにアレルギー・血流障害による皮膚障害などのリスクがあります。血流障害のリスクは、解剖の熟知と手技により回避することが可能です。
- ボトックス:注入後24時間後~1週間ほどかけて徐々に効果が出ます。腫れぼったい感じ、眉毛が下がった感じ、など一時的な表情の変化が見られることがあります。
- コラーゲンピール:(禁忌の方)炎症のある皮膚・脂漏性皮膚炎・コウジ酸に対するアレルギーのある方
※施術の結果には個人差があります。
症例7
ヒアルロン酸(こめかみ・頬・ほうれい線・顎)+コラーゲンピール 40代 男性

ヒアルロン酸/しわの気になる部分に注入することにより、皮膚を盛り上げ、フェイスラインを整えたりしわを改善する治療です。
コラーゲンピール/皮膚のハリの喪失・メラニン沈着・血行不良・たるみ・しわなどを改善する治療です。
費用
- ヒアルロン酸/ジュビダームビスタボリューマXC
1本 ¥99,000
注入料 1ヵ所 ¥11,000 - コラーゲンピール
1回の治療費 ¥17,600
主な副作用
- ヒアルロン酸/フィラー注入には、内出血・紅斑・ごくまれにアレルギー・血流障害による皮膚障害などのリスクがあります。血流障害のリスクは、解剖の熟知と手技により回避することが可能です。
- コラーゲンピール/(禁忌の方)炎症のある皮膚・脂漏性皮膚炎・コウジ酸に対するアレルギーのある方
※施術の結果には個人差があります。
症例8
ヒアルロン酸+ボトックス 40代 女性

① ヒアルロン酸(頬・ほうれい線・顎)+ボトックス(眉間、目尻)
② 3ヶ月後に追加注入 ヒアルロン酸(頬・ほうれい線・顎・こめかみ)
ヒアルロン酸/しわの気になる部分に注入することにより、皮膚を盛り上げ、フェイスラインを整えたりしわを改善する治療です。
ボトックス注入/しわの周りに注射することによって筋肉の働きを抑え、しわを伸ばすことができ、深いしわよりも、表情を作ることによってできる表情じわに対して行う治療です。
費用
- ヒアルロン酸/ジュビダームビスタボリューマXC
1本 ¥99,000
注入料 1ヵ所 ¥11,000 - ボトックス注入(眉間・目尻)/各¥38,500
主な副作用
- ヒアルロン酸/フィラー注入には、内出血・紅斑・ごくまれにアレルギー・血流障害による皮膚障害などのリスクがあります。血流障害のリスクは、解剖の熟知と手技により回避することが可能です。
- ボトックス/注入後24時間後~1週間ほどかけて徐々に効果が出ます。腫れぼったい感じ、眉毛が下がった感じ、など一時的な表情の変化が見られることがあります。
※施術の結果には個人差があります。
症例9
ボトックス 眉間 30代 女性

しわの周りに注射することによって筋肉の働きを抑え、しわを伸ばすことができ、深いしわよりも、表情を作ることによってできる表情じわに対して行う治療です。
費用
ボトックス注入(眉間)/¥38,500
主な副作用
注入後24時間後~1週間ほどかけて徐々に効果が出ます。腫れぼったい感じ、眉毛が下がった感じ、など一時的な表情の変化が見られることがあります。
※施術の結果には個人差があります。
症例10
ボトックス 目尻 30代 女性

しわの周りに注射することによって筋肉の働きを抑え、しわを伸ばすことができ、深いしわよりも、表情を作ることによってできる表情じわに対して行う治療です。
費用
ボトックス注入(目尻)/¥38,500
主な副作用
注入後24時間後~1週間ほどかけて徐々に効果が出ます。腫れぼったい感じ、眉毛が下がった感じ、など一時的な表情の変化が見られることがあります。
※施術の結果には個人差があります。
症例11
ボトックス 額 30代 女性

しわの周りに注射することによって筋肉の働きを抑え、しわを伸ばすことができ、深いしわよりも、表情を作ることによってできる表情じわに対して行う治療です。
費用
ボトックス注入(額)/¥46,200
主な副作用
注入後24時間後~1週間ほどかけて徐々に効果が出ます。腫れぼったい感じ、眉毛が下がった感じ、など一時的な表情の変化が見られることがあります。
※施術の結果には個人差があります。
症例12
ボトックス 咬筋 20代 女性

しわの周りに注射することによって筋肉の働きを抑え、しわを伸ばすことができ、深いしわよりも、表情を作ることによってできる表情じわに対して行う治療です。
費用
ボトックス注入(咬筋)/¥59,400
主な副作用
注入後24時間後~1週間ほどかけて徐々に効果が出ます。腫れぼったい感じ、眉毛が下がった感じ、など一時的な表情の変化が見られることがあります。
※施術の結果には個人差があります。
症例13
ボトックス 足痩せ 30代 女性

足痩せボトックスは、ふくらはぎを構成する腓腹筋にボトックスを打つことで筋線維を徐々に萎縮させサイズダウンさせる「部分痩せ効果」があります。
費用
ボトックス注入(足痩せ)/¥110,000
主な副作用
注入後24時間後~1週間ほどかけて徐々に効果が出ます。効果が現れるのは注入約1か月後位からです。
※施術の結果には個人差があります。
ヒアルロン酸・ボトックス注射、よくある質問
ボトックス注射に関するよくある質問
Q ボトックスの効果はどのくらいですか?
A 注入後、24時間~7日で効果が表れます。通常3~4ヶ月持続し、徐々に元の状態に戻りますので、よりよい状態を保つために3~4ヶ月ごとに繰り返し注入を行うことをお勧めします。
Q ボトックスの費用はどれくらいですか?
A 部位により異なりますが、4ヶ月以内に同じ部位を注入される場合は20%OFF、6ヶ月以内は10%OFFです。
Q 二ヶ所以上を同時に注入することは可能ですか?
A 眉間と目尻、口角や鼻の横など、筋肉の連動する部位に打つことにより効果を発揮しますので、同時に二ヶ所以上の注入も可能です。また料金も同日2ヶ所以上の注入で20%OFFになります。※両咬筋、両脇、両ふくらはぎ、マイクロボトックスは対象外です。
Q 安全性が気になります
A ボトックスは眼瞼痙攣の治療薬として開発されたお薬です。当院で使用しているアラガン社のボトックスビスタは日本では2009年に厚生労働省により眉間の治療に対する承認が得られています。また2016年5月時点で、目尻の表情じわ治療にも製造販売承認を受けている医療用医薬品です。
当院においてはボトックス治療の講習を受け、十分な知識と経験のある医師が治療を行っております。
当院においてはボトックス治療の講習を受け、十分な知識と経験のある医師が治療を行っております。
Q 妊娠中、授乳中でも受けられますか?
A 妊娠中、授乳中、妊娠の可能性のある方は注入できません。また施術後2か月は避妊してください。
Q 副作用が気になります
A 注入部分に内出血を起こす場合がありますので、アスピリンやビタミンEなど血流改善剤やサプリメントの内服を控えてください。ボトックス注入後、強い痛みや、内出血などある場合はすぐにご連絡のうえ来院ください。
また、眼瞼下垂のある方が、過度にボトックスによる額のしわ治療を行うと眉が下がり目が小さくなることがあります。
また、眼瞼下垂のある方が、過度にボトックスによる額のしわ治療を行うと眉が下がり目が小さくなることがあります。
ヒアルロン酸に関するよくある質問
Q 治療後、化粧はできますか?
A 治療後少し赤く腫れることがありますが、数日で平らになります。まれに内出血することもありますが、2~3週間で改善します。コンシーラー等の使用をおススメします。
Q ヒアルロン酸の費用はどれくらいですか?
A ジュビダームビスタウルトラ、ウルトラプラスXCは各69,500円(1.0ml)。ジュビダームビスタボリューマXC/ボリフトXCは97,200円(1.0ml)です。
Q 腫れたりしますか?
A 人目が気になるほどの腫れが出ることはありませんが、触れると少し突っ張る感じやごろごろ感がでることもあります。
Q 効果はどのくらいですか?
A 個人差がありますが、ジュビダームビスタウルトラの効果は約一年程度持続します。ジュビダームビスタボリューマXCは約2年持続します。
Q 注射の痛みがコワいのですが…
A 当院では痛みを抑えるために麻酔クリームを塗布して治療を行いますので、痛みに弱い方でも安心してご利用いただけます。
*ジュビダームXCシリーズにはあらかじめヒアルロン酸に麻酔薬が含まれています。
*ジュビダームXCシリーズにはあらかじめヒアルロン酸に麻酔薬が含まれています。
Q メイクしたたま来院してもよいですか?
A お顔の汚れや皮脂を取り除いていただきますので来院時はメイクをしたままでも大丈夫です。メイクをしてお帰りいただけますが、注入箇所へのメイクは避けてください。








